Guardado 30 veces
Yegua de 4 años por Confess Color - Quaterback
12.000 €
12.000 € Negociable
Referencia del anuncio: 4696729
Tipo de anuncio: Caballos en venta
Fecha de publicación: 30/3/2026
llamada a los anuncios: 6197
Pferdezuchtverband Brandenburg-Anhalt eV
Activo desde: 03.2017
16845 Neustadt/Dosse
Alemania
Persona de contacto:
HartmutSchulzMostrar número de teléfono
Mensaje
Estoy interesado – contáctame
Guardar
está desbravado
sabe dar cuerda
trabajado en libertad/de la mano
es fácil de transportar
directamente desde el productor
Descripción
Español
-
Alemán
-
Inglés
-
Francés
-
Italiano
-
Neerlandes
-
Polaco
-
Español
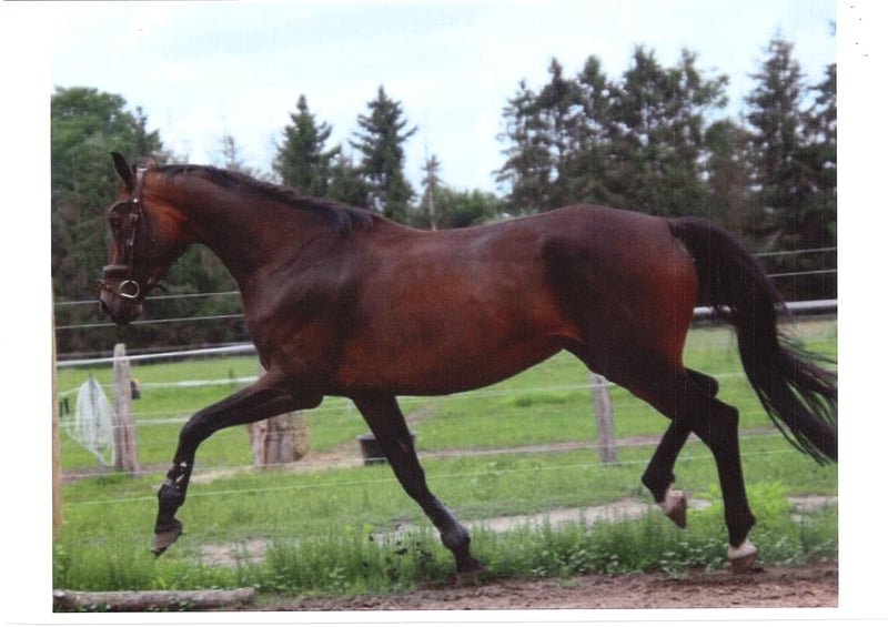
Moderne - Bewegungsstark - Ausdruckvoll 5j. DSP Dressurstute mit überzeugendem Bewegungspotential und ehrlichem Wesen. sie bringt alles mit was sich für eine erfolgreiche sportliche Zukunft im großen Viereck wünscht. 2021 geboren v. Confess Color - Quaterback modern, sportlich orientierte Blutlinie mit Schwerpunkt auf Rittigkeit, Leistungsbereitschaft und Interieur. Im Nov 2024 schonend angeritten absolvierte sie Ihren Stutenleistungsprüfung in Neustadt Dosse mit 7,47. Nach dieser ersten Ausbildungsphase erhielt sie bewusst eine länger Pause auf der Koppel um sich körperlich und mental weiterzuentwickeln. Die Stute ist intelligent, sensibel, und Leistungsbereit. nicht für Anfänger geeignet, sie benötigt auf Grund Ihres Alters eine konsequente, ruhige und erfahrene Bezugsperson, die ihr Sicherheit gibt. Sie kennt Offenstall und Boxenhaltung, ist in der Herde verträglich. Für weitere Informationen oder einen Besichtigungstermin stehe ich Ihnen gerne zur Verfügung.
Este texto ha sido traducido automáticamente.
Modern - Expressive - Movement-Strong A 4-year-old DSP dressage mare with impressive movement potential and an honest character. She possesses everything needed for a successful sporting future in the grand arena. Born in 2021, sired by Confess Color - Quaterback, she boasts a modern, sport-oriented bloodline with a focus on rideability, willingness to perform, and good temperament. In November 2024, she was gently backed and completed her mare performance test in Neustadt/Dosse with a score of 7.47. After this initial training phase, she was intentionally given a longer break in the paddock to further develop physically and mentally. The mare is intelligent, sensitive, and eager to perform. Not suitable for beginners, she requires a consistent, calm, and experienced handler due to her age, who can provide her with security. She is familiar with both open stable and box stall management and is compatible within a herd. For further information or to arrange a viewing, please feel free to contact me.
Este texto ha sido traducido automáticamente.
Moderna, con movimiento potente y expresión destacada Yegua de doma clásica de 4 años con un potencial de movimiento convincente y carácter sincero. Posee todo lo necesario para una exitosa carrera deportiva en el gran círculo. Nacida en 2021, hija de Confess Color - Quaterback, con una línea de sangre moderna y orientada al deporte, centrada en la facilidad de monta, la disposición a aprender y buen carácter. En noviembre de 2024, fue sometida a un entrenamiento suave y completó su prueba de aptitud para yeguas en Neustadt Dosse con una puntuación de 7,47. Tras esta primera fase de entrenamiento, se le concedió una pausa prolongada en el paddock para que pudiera desarrollarse física y mentalmente. La yegua es inteligente, sensible y con gran disposición a rendir. No es adecuada para principiantes; debido a su edad, requiere una persona de experiencia, tranquila y constante, que le brinde seguridad. Conoce tanto la vida en paddock como en box, y es compatible en la manada. Para más información o para concertar una visita, no dude en contactarme.
Este texto ha sido traducido automáticamente.
Moderne, bewegungsstark und ausdrucksvoll Vierjährige DSP-Dressurstute mit überzeugendem Bewegungspotenzial und ehrlichem Wesen. Sie verfügt über alles, was für eine erfolgreiche sportliche Karriere im großen Viereck erforderlich ist. Geboren 2021, Tochter von Confess Color – Quaterback, eine modern und sportlich orientierte Blutlinie mit Schwerpunkt auf Rittigkeit, Leistungsbereitschaft und angenehmem Interieur. Im November 2024 wurde sie schonend angeritten und absolvierte ihre Stutenleistungsprüfung in Neustadt-Dosse mit der Note 7,47. Nach dieser ersten Ausbildungsphase erhielt sie bewusst eine längere Pause auf der Weide, um sich körperlich und mental weiterzuentwickeln. Die Stute ist intelligent, sensibel und leistungsbereit. Sie ist nicht für Anfänger geeignet und benötigt aufgrund ihres Alters eine konsequente, ruhige und erfahrene Bezugsperson, die ihr Sicherheit gibt. Sie kennt Offenstall- und Boxenhaltung und ist in der Herde verträglich. Für weitere Informationen oder einen Besichtigungstermin stehe ich Ihnen gerne zur Verfügung.
Este texto ha sido traducido automáticamente.
Moderne, bewegungssterk en expressief 5-jarige DSP dressuurmerrie met overtuigend bewegingspotentieel en een oprecht karakter. Ze beschikt over alles wat nodig is voor een succesvolle sportieve toekomst in het grote veld. Geboren in 2021, s. v. Confess Color - Quaterback, een moderne, sportgerichte bloedlijn met de nadruk op rijdbaarheid, bereidwilligheid en temperament. In november 2024 werd ze voorzichtig aangezet en heeft ze haar merrietest in Neustadt Dosse met een score van 7,47 voltooid. Na deze eerste opleidingsfase kreeg ze bewust een langere rustperiode op de wei om zowel fysiek als mentaal verder te ontwikkelen. De merrie is intelligent, gevoelig en prestatiegericht. Niet geschikt voor beginners; vanwege haar leeftijd heeft ze een consequente, rustige en ervaren begeleider nodig die haar veiligheid biedt. Ze kent zowel openstal- als boxenhuisvesting en is in de kudde goed te integreren. Voor meer informatie of een bezichtigingsafspraak sta ik graag tot uw beschikking.
Este texto ha sido traducido automáticamente.
Nowoczesna – pełna ruchu – wyrazista Czteroletnia klacz sportowa typu DSP z przekonującym potencjałem ruchowym i szczerym charakterem. Posiada wszystko, co jest potrzebne do odniesienia sukcesów w dużej dyscyplinie sportowej. Urodzona w 2021 roku, po Confess Color – Quaterback, nowoczesnej, sportowo ukierunkowanej linii krwi z naciskiem na skoczność, gotowość do pracy i charakter. W listopadzie 2024 roku delikatnie rozpoczęła trening, a następnie zdała próbę użytkowości klaczy w Neustadt Dosse z wynikiem 7,47. Po tej pierwszej fazie szkolenia celowo zrobiła dłuższą przerwę na pastwisku, aby rozwijać się fizycznie i mentalnie. Klacz jest inteligentna, wrażliwa i chętna do pracy. Nie jest odpowiednia dla początkujących, ponieważ ze względu na wiek potrzebuje konsekwentnego, spokojnego i doświadczonego opiekuna, który zapewni jej poczucie bezpieczeństwa. Zna stajnię otwartą i boksy, jest zgodna w stadzie. W razie zainteresowania dodatkowymi informacjami lub umówieniem się na oględziny, chętnie służę pomocą.
Genealogía
CONFESS COLORCADEAU NOIRLIILY FEECHRISTDELICIALICOSTODA LEA
QUINNTYQUATERBACKLADYQUATERMANSPS PASSIONATALAURIES CRUSADOR XXLADY LEMMON
Pferdezuchtverband Brandenburg-Anhalt eV
E
16845 Neustadt/Dosse
Alemania
Hablamos:
Página web: pferdezuchtverbandbrandenburg-anhaltev
Énfasis
Caballos de doma
Caballos de enganche
Caballos de ocio
Caballos Hunter
Caballos de salto
Caballos de concurso completo
Caballos de volteo
Caballos de crianza
Caballos de raid
Caballos de cacería
Contactar al vendedor
* Campos obligatorios
Enviar mensaje
Otros anuncios del vendedor
Pferdezuchtverband Brandenburg-Anhalt eV
E
16845 Neustadt/Dosse
Alemania
Hablamos:
Mensaje
